Ever since learning about the Great Barrier Reef way back in elementary school it has been a dream of mine to visit. I mean who doesn’t want to snorkel around the beautiful coral? So when I found myself in in Australia for 4 months you can guess what was at the top of my list of places to visit.
Now when I had put visit the Great Barrier Reef on my bucket list my intention was that I would be snorkeling around happy as a clam checking out the beautiful coral reef and the fishes that called it home. Sounds blissful doesn’t it? Never once did I even toy with the idea of scuba diving down to the Great Barrier Reef, nope, no thank you that was not for me.

I didn’t want to do it. In fact I clearly stated it multiple times during our trip planning, on the flight over, even as we walked over to the booth to sign up, I did not want to do it. I even told one of the cabin crew members he can put my scuba gear back, just snorkeling for me.
Call me dramatic but I was one hundred percent certain that if I put on that scuba gear and attempted to dive down into the water my head would explore when I came back up. That or I would get a series case of Barotrauma, neither or which sounded appealing to me.

So how in the world did I end up with a tank on my back and large flippers on my feet about to trust a man with an Aussie accent so thick I am pretty positive he was not speaking English to take me safely down under water further than I ever wanted to go?
I blame it on my inner spirit that comes out when I travel.
I mean here I was, out on a boat, about to see the Great Barrier Reef, when I thought to myself, am I really going to not try and scuba dive here? How could I pass this kind of a once in a lifetime opportunity up?
I couldn’t.

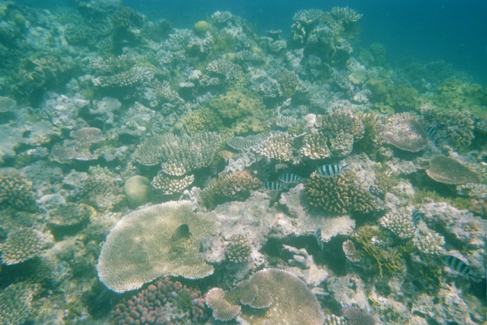
Some beautiful pictures of the Great Barrier Reef thanks to that $5 underwater disposal camera, enjoy.



I am not going to lie, my fear of scuba diving did not go away at all during this experience. But for a brief moment when it was just me floating around exploring the Great Barrier Reef it was pure bliss! And then the pressure in my ears started up again but that is not an important part of the story.
This is why I love traveling. It pushes you so far out of your comfort zone that you surprise yourself with the things you can do. I am still amazed that I actually went scuba diving, even now the thought of scuba diving makes me nervous. But you know what I have never once regretted facing my fears and trying something new while traveling.
And in case you were wondering, as soon as I finished my first dive the gear came right off and I stuck to snorkeling for the rest of the day. I mean how else would I get this awesome picture.
That my friends is a picture to show the grandchildren.
Question of the Day?
Have you ever tried something new when traveling that was outside of your comfort zone? How do you feel about scuba diving?


